• 6598阅读
  • 2回复

[义乌故事]好消息!用地面积超13万平方米!义乌这里将规划新建… [复制链接]

上一主题 下一主题
离线天真gg
 

发帖
485
奖学金
105
威望
2016
微信分享到朋友圈 图酷模式 只看楼主 倒序阅读 腔主  发表于: 2021-09-06
马上注册,结交更多好友,享用更多功能,让你轻松玩转义乌十八腔,更多精彩评论请登录后查看。
  已有账号?点击登录
关闭
近日

义乌市政府信息公开平台

更新了规划公示

一起来看看


大陈小镇健康养生社区第二期项目


申请人义乌蓝城建设有限公司向本局提出申请,要求办理大陈小镇健康养生社区第二期项目建设工程规划许可手续。本项目位于大陈镇,苏八线以东、阳光大道以西、大陈大道以北,用地面积为132176.81平方米,用地性质为一类居住用地。申请人已委托设计单位按规划条件、相关规定、设计规范等编制规划设计方案,并经大陈镇初步审查同意。根据《城乡规划法》《行政许可法》及相关规定要求,现对该项目的规划方案予以公示。公示期为2021年8月31日至2021年9月9日,公示地点为项目现场和义乌市自然资源和规划局网站。

如本行政许可直接涉及公民(法人)之间重大利益关系的,利害关系人依法享有陈述、申辩及申请听证等权利。请于2021年9月17日前持利害关系存在的材料及本人身份信息(或法人身份信息),向义乌市自然资源和规划局申报。逾期不申报的视为放弃。



地址:宾王路366号1011办公室

电话:0579-85580031 85580021

传真:0579-85589000



义乌市自然资源和规划局

2021年8月31日

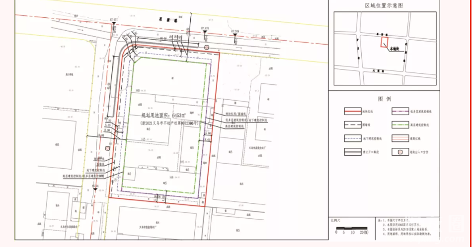
义乌市键赛日用品厂地块

申请人廿三里街道向我局提出申请,要求办理义乌市键赛日用品厂地块规划条件,根据《中华人民共和国城乡规划法》及《浙江省城乡规划条例》的有关规定,现将该地块规划条件初步情况进行公示。


一、规划情况:



义乌市键赛日用品厂地块,规划总用地面积:6453平方米(9.68亩);规划用地性质:一类工业用地(M1);建筑密度:≤50%;容积率:1.6-3.0;绿地率≥10%。


二、公示时间:



10天,自2021年8月31日起至2021年9月9日止。



三、公示地点:



1、局政务公开专栏



2、项目现场



四、意见反馈:



1、公示期间对该规划(选址)有任何意见或者建议,请使用真实姓名及联系方式在公示期内以书面形式反馈至我局。公示期满无异议,我局将按规定办理相关手续。



2、个人反馈的,附上个人地址、身份证复印件及联系方式;



3、多人反馈的,附上每个人的身份证复印件、地址和委托代理人的身份证复印件、地址及联系方式;



4、单位反馈的,附上单位法人、委托代理人的身份证复印件、地址及联系方式。



五、联系方式:



义乌市自然资源和规划局

地址:宾王路366号922办公室

电话:0579-85580083

传真:0579-85589000



地址:宾王路366号1011办公室

电话:0579-85580031

传真:0579-85589000





义乌市自然资源和规划局

2021年8月31日

来源丨义乌市人民政府公开专栏



5条评分威望+5
a654349826 威望 +1 - 2021-09-07
阿虞呢。 威望 +1 - 2021-09-06
yanghhhhhhhh 威望 +1 - 2021-09-06
小甜朵 威望 +1 - 2021-09-06
天真gg 威望 +1 - 2021-09-06
特别声明:帖子及回帖全部内容为论坛用户自行上传发布并承担相应的法律责任,不代表本网站观点和立场,本网站仅提供信息存储服务。任何用户如认为页面上的特定内容涉及侵权,可通过页面底部侵权投诉指引向我们进行投诉。
本帖共有2条回复,请登录后查看。
  已有账号?点击登录
快速回复
限100 字节
如果您在写长篇帖子又不马上发表,建议存为草稿