• 20048阅读
  • 28回复

[义乌故事]义乌又一所职业院校来了,规划公示中 [复制链接]

上一主题 下一主题
 
发帖
721
奖学金
1422
威望
36083
微信分享到朋友圈 图酷模式 只看楼主 倒序阅读 腔主  发表于: 2024-01-23
马上注册,结交更多好友,享用更多功能,让你轻松玩转义乌十八腔,更多精彩评论请登录后查看。
  已有账号?点击登录
关闭
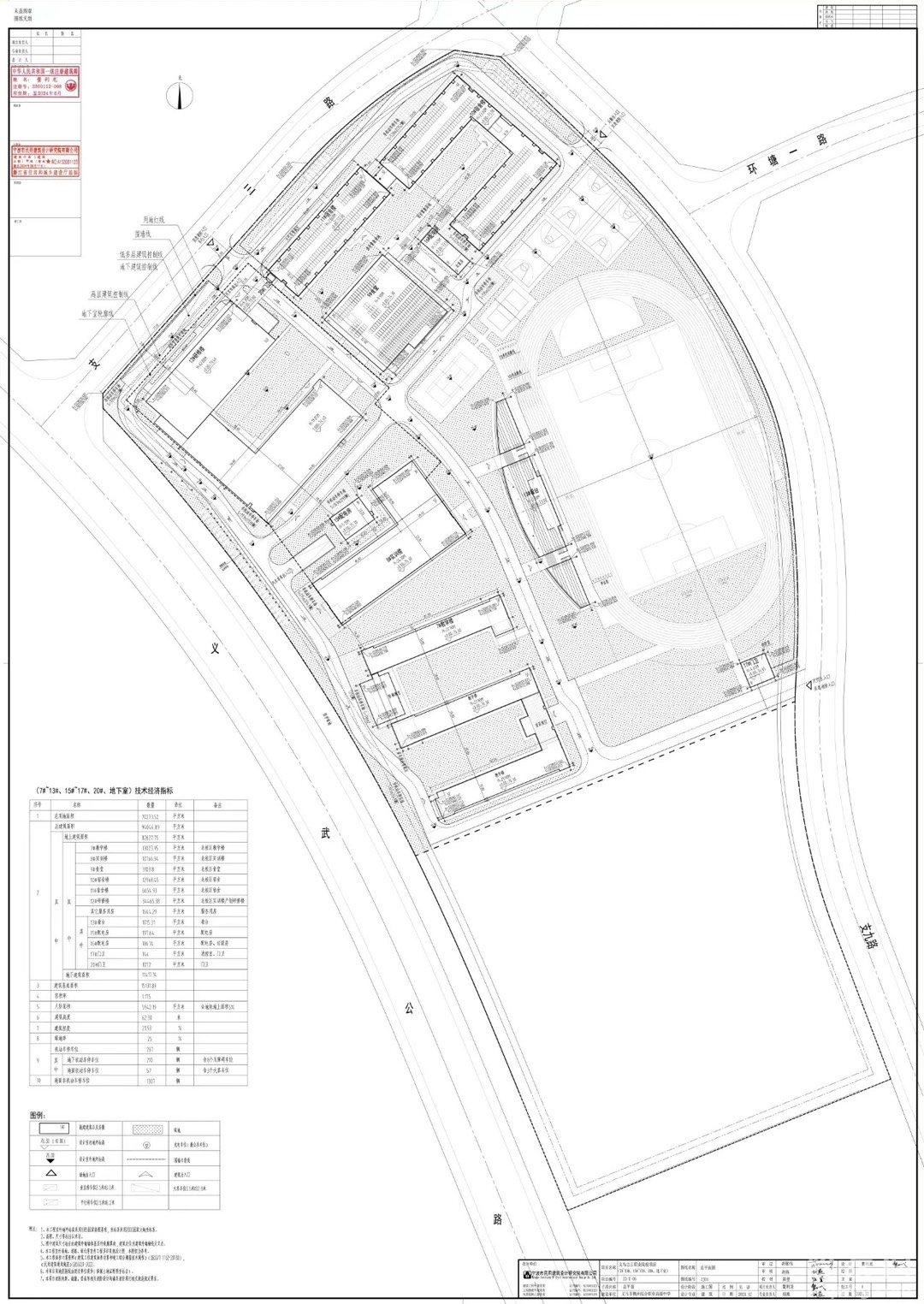
1月19日,义乌市稠州综合职业高级中学义乌吉云职业院校项目规划方案公示。


申请人义乌市稠州综合职业高级中学向义乌市自然资源和规划局义乌经济技术开发区分局提出申请,要求办理义乌吉云职业院校项目建设工程规划许可证手续。

该项目位于义乌市义武公路与环塘二路交叉口东北侧地块一,用地面积70273.52平方米,用地性质为中等职业教育用地。

申请人已委托设计单位按规划条件、相关规定、设计规范等编制规划方案,并经义乌市自然资源和规划局义乌经济技术开发区分局初步审查同意。根据《城乡规划法》、《行政许可法》及相关规定要求,现对该项目的规划方案予以公示。

公示期为2024年1月19日至2024年1月28日,公示地点为项目现场和义乌经济开发区管委会网站。



看这规划
感觉怎么样?
46条评分威望+46
特别声明:帖子及回帖全部内容为论坛用户自行上传发布并承担相应的法律责任,不代表本网站观点和立场,本网站仅提供信息存储服务。任何用户如认为页面上的特定内容涉及侵权,可通过页面底部侵权投诉指引向我们进行投诉。
本帖共有28条回复,请登录后查看。
  已有账号?点击登录
快速回复
限100 字节
如果您提交过一次失败了,可以用”恢复数据”来恢复帖子内容