• 7211阅读
  • 0回复

[义乌故事]219.5亩!义乌这个地块规划曝光!将建商业、住宅、学校… [复制链接]

上一主题 下一主题
 

发帖
254
奖学金
339
威望
3120
微信分享到朋友圈 图酷模式 只看楼主 倒序阅读 腔主  发表于: 2021-03-06
马上注册,结交更多好友,享用更多功能,让你轻松玩转义乌十八腔,更多精彩评论请登录后查看。
  已有账号?点击登录
关闭
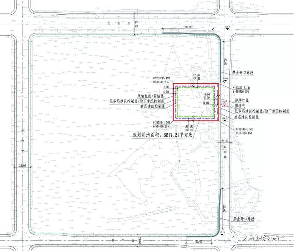
    3月4日,高塘路与龙祈路交叉口东南侧地块(苏溪新社区集聚二期)规划情况公示。




    地块分为地块一和地块二,其中地块一规划总用地面积139697.54㎡(209.6亩);规划用地性质为商业、二类居住用地;建筑限高80米;建筑密度18%-25%;容积率2.7-2.9,绿地率不少于30%。




    地块二规划总用地面积6617.21㎡(9.9亩);规划用地性质教育科研用地(幼儿园用地);建筑限高20米;建筑密度25%-35%;容积率0.8-1.1,绿地率不少于25%。





    公示时间为10天,自2021年3月4日起至2021年3月13日止;公示地点为局政务公开专栏和项目现场。


    来源:义乌房产
1条评分威望+1
我是你熊哥哥啊 威望 +1 - 2021-03-06
特别声明:帖子及回帖全部内容为论坛用户自行上传发布并承担相应的法律责任,不代表本网站观点和立场,本网站仅提供信息存储服务。任何用户如认为页面上的特定内容涉及侵权,可通过页面底部侵权投诉指引向我们进行投诉。
本帖共有0条回复,请登录后查看。
  已有账号?点击登录
快速回复
限100 字节
如果您提交过一次失败了,可以用”恢复数据”来恢复帖子内容